Übersicht
Bauarbeiten 2006: Neue Haltestellen und mehr
Erste Planzeichnungen · Provisorische Ersatzgleise auf Linie 1 · Vorschau auf 2007
05/13/2006
07/28/2006

< Zurück

Nach derzeitigem Stand startet spätestens Mitte 2008 der Bau der ersten neuen Tram-Strecken in Richtung Westen. Außerdem trifft Ende Juli 2007 die erste Niederflur-Straßenbahn in Innsbruck ein, die weiteren Fahrzeuge folgen sukzessive ab Februar 2008.
Damit mit Baubeginn der Neubaustrecken die Bauarbeiten im Bestandsnetz abgeschlossen sind und dieses von den neuen Trambahnen genutzt werden kann, müssen 2006 und 2007 noch weitere Anpassungsarbeiten an den bestehenden Strecken und deren Infrastruktur vorgenommen werden - strassenbahn.tk berichtete.

Inzwischen sind die Details der diesjährigen Baumaßnahmen bekannt und die ersten Pläne stehen zur Verfügung - dabei handelt es sich jedoch um Vorabzüge, Einzelheiten könnten sich bis zur Bauausführung noch ändern.

Die Haltestellen-Bauarbeiten sollen Mitte September beginnen und bis Anfang Dezember abgeschlossen sein.

Bilder bitte anklicken zum Vergrößern!

Haltestelle Dr.-Glatz-Straße, Linie 3
Wie strassenbahn.tk aus der Planungsabteilung des Tiefbauamtes bestätigt wurde, wird die Haltestelle Dr.-Glatz-Straße voraussichtlich aufgelassen. Wegen des geringen Abstandes zur Hst. Roseggerstraße wird deren Einzugsgebiet in Zukunft von dieser mitversorgt.
Das macht besonders im Hinblick auf die für 2009 vorgesehene Umlegung der Linie 3 in die Amraser Straße Sinn, weil die Haltestelle Roseggerstraße dann in die Amraser Straße verlegt werden muss und der Abstand zur Station Dr.-Glatz-Straße nur noch rund 100 m betragen würde.
An dieser Station werden daher nur noch geringe Adaptionen durchgeführt: der Übergang wird behindertengerecht durchgebrochen, in der Umgebung neue Schutz- und Radwegübergänge errichtet.

Haltestelle Rudolf-Greinz-Straße, Linie 3
Die Haltestelle Rudolf-Greinz-Straße wird mit einem niederflurtauglichen Stadtbahn-Bahnsteig ausgestattet und auf 30 m verlängert.
Zusätzlich werden Schutzwege und eine Mittelinsel nördlich der Station errichtet.
Eventuell bereits im Jahr 2007, spätestens aber 2008, wird der gesamte Kreuzungsbereich umgebaut werden, wobei die Haltestelle erneut verändert werden könnte.

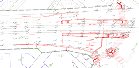
Haltestelle Roseggerstraße, Linie 3
Die Haltestelle Roseggerstraße wird mit einem niederflurtauglichen Stadtbahn-Bahnsteig ausgestattet und auf 29 m verlängert.
Zusätzlich werden die umliegenden Schutzwege neu organisiert und der Radweg westlich der Kreuzung auf die Fahrbahnseite verlegt.
Mit Auflassen der Strecke der Linie 3 durch die Pradler Straße voraussichtlich im Jahr 2009 soll diese Haltestelle in die Amraser Straße verlegt werden.

Haltestelle Amras (Umkehrschleife), Linie 3
Die Endstation der Linie 3 in Amras wird am westseitigen Gleis mit einem befahrbaren Haltestellenkap mit einer nutzbaren Länge von 60 m ausgestattet und erhält einen 24,5 cm hohen Stadtbahn-Bahnsteig.
Die neue Länge entspricht ungefähr zwei Niederflurfahrzeugen. Der vordere Wagen kann so seine Stehzeit, die bisher in der Schleife abgewartet wurde, in der Station abwarten. Die bisherige Ausstiegshaltestelle wird dadurch zur Ein- und Ausstiegshaltestelle.
Zusätzlich werden die umliegenden Schutzwege mit Rampen und Blindenleitsystem ausgestattet.

Haltestelle Pradler Friedhof, Linie 3
Hier werden befahrbare Haltestellenkaps mit einer Nutzlänge von 30 m sowie beidseitig 24,5 cm hohe Bahnsteige geschaffen.

Die Haltestelle Richtung Zentrum wird außerdem nach die Kreuzung verlegt und die Schutzwege im Umfeld mit Rampen und Blindenleitsystem ausgestattet.

Haltestelle Südring, Linien 3 und NL1
An der Station Südring werden Bahnsteige mit einer nutzbaren Länge von 30 m und 24,5 cm Bahnsteighöhe errichtet.
Außerdem werden auch hier die Zugänge zur Station mit Rampen und Blindenleitsystem behindertengerecht adaptiert.

Da die Haltestelle insgesamt breiter wird, wird der westseitige Gehsteig etwas verschmälert.

Haltestelle Stubaitalbahnhof (Pastorstraße), Linie 1
Die einseitige Haltestelleninsel in der Pastorstraße wird verbreitert und der Bahnsteig auf 24,5 cm angehoben. Die neue Nutzlänge der Station wird 29 m betragen.

Der auch als Haltestellenzugang dienende Schutzweg wird mit Rampen und Blindenleitsystem versehen.

Haltestelle Fritz-Konzert-Straße, Linien 1, STB und T
Diese Station wird lediglich auf 30 m Nutzlänge verlängert und die Zugangswege mit Rampen und Blindenleitsystem ausgestattet.

Ein Umbau nach Stadtbahnstandard wird zu einem späteren Zeitpunkt in Abstimmung mit den Planungen des "Grassmayr-Tunnels" durchgeführt.


Weitere Arbeiten
Abgestimmt mit Gleissanierungs-Arbeiten auf den Stadt- und den Überlandstrecken, strassenbahn.tk berichtete, müssen rund zwanzig Kanalschächte entlang der innerstädtischen Straßenbahnstrecken müssen in Vorbereitung auf die neuen Straßenbahnfahrzeuge, die eine höhere Achslast aufweisen, für diese höhere Belastung umgebaut werden. Dies geschieht im Zeitraum von Mai bis Oktober.

Besonders interessantes Detail am Rande: während der Bauarbeiten am Nordast der Linie 1 im Juni werden zwischen Claudiaplatz und Bienerstraße sowie in der Erzherzog-Eugen-Straße provisorische Ersatzgleise anstelle der ostseitigen Parkspuren errichtet. Damit ist kein Schienenersatzverkehr und auch keine Kurzführung oder Teilung der Linie 1 notwendig.

Außerdem wird die Infrastruktur im Betriebshof für die Neufahrzeuge angepasst: ab Juni wird für die Straßenbahnrevision ein Hocharbeitsstand gebaut und die Tiefgaragendecke wird verstärkt, um den neuen, schwereren Tram-Fahrzeugen standhalten zu können. Neue Abstellgleise hinter der Straßenbahnhalle werden, zumindest heuer, nicht errichtet, und es werden 2006 auch keine neuen Gleise oder Gleisanschlüsse im bestehenden Streckennetz gebaut.

Straßenbahn-Umleitungen
Im Sommer 2006 werden erstmals seit Jahren keine länger als einen Tag andauernden Schienenersatzverkehre notwendig sein; mit Hilfe der in den letzten Jahren neu geschaffenen Gleisverbindungen und durch Einsatz von Kletterweichen kann der Straßenbahnbetrieb fast lückenlos aufrecht erhalten werden.

So wird beipielsweise im August und September wegen Schacht-Umbauarbeiten am Innrain die Haltestelle Marktplatz nicht angefahren werden können. Die Linie 1 wird in diesem Zeitraum, wie von den IVB kürzlich bestätigt wurde, in Richtung Bergisel über den Innenstadtring (Hauptbahnhof - Salurner Straße - Maria-Theresien-Straße - Anichstraße) umgeleitet werden, in Richtung Hungerburgbahn über Anichstraße - Maria-Theresien-Straße; letzteres trifft auch für die Linie STB zu.

Vorschau auf 2007
Mittlerweile gilt als sicher, wenn auch noch nicht offiziell bestätigt, dass 2007 das zweite Gleis am Innenstadtring samt dem zweigleisigen Gleisdreieck im Kreuzungsbereich Amraser Straße mit Brunecker Straße, Ing.-Etzel-Straße und Museumstraße gebaut werden wird, so dass ab Herbst 2007 eine vollwertige zweite Ost-West-Verbindung durch die Innenstadt zur Verfügung stehen sollte.
Außerdem dürften 2007 die Haltestellen entlang des Nordastes der Linie 1 auf Stadtbahnstandard umgebaut werden.


> IVB: "Innsbruck baut auf"
> Gleissanierung auf allen Linien
> Diskussion zu diesem Artikel

(mps, ivb, magibk)

< Zurück